09 de Marzo de 2026
Inicio    Veracruz    Política    Nacional    Opinión    Ciudadanía    Geopolítica    Cultura    Galería    CDMX
 
09 de Marzo de 2026
Inicio    Veracruz    Política    Nacional    Opinión    Ciudadanía    Geopolítica    Cultura    Galería    CDMX
 
Nacional
Nacional | 2024-11-06
En el gobierno de Cuitláhuac García también se incrementaron los robos a casa habitación y de vehículos, mientras que en el sur de la entidad se reportaron más de 2 mil extorsiones a comerciantes en 2023
Nacional | 2024-10-22
Autoridades refuerzan operativos para localizar a responsables
Nacional | 2024-10-18
El conductor se despidió anoche de su noticiero televisivo, aunque seguirá formando parte de Grupo Imagen Multimedia
Nacional | 2024-10-18
El Meteorológico Nacional alertó que para el sábado 19 de octubre un sistema de baja presión podría intensificarse a depresión tropical antes de ingresar a Quintana Roo
Nacional | 2024-10-14
El frente frío número 6, junto con una masa de aire frío y el evento de ‘Norte’, traerá bajas temperaturas y lluvias puntuales en algunos estados
Nacional | 2024-10-09
"Hemos dado parte a las autoridades", informa consejero
Nacional | 2024-10-08
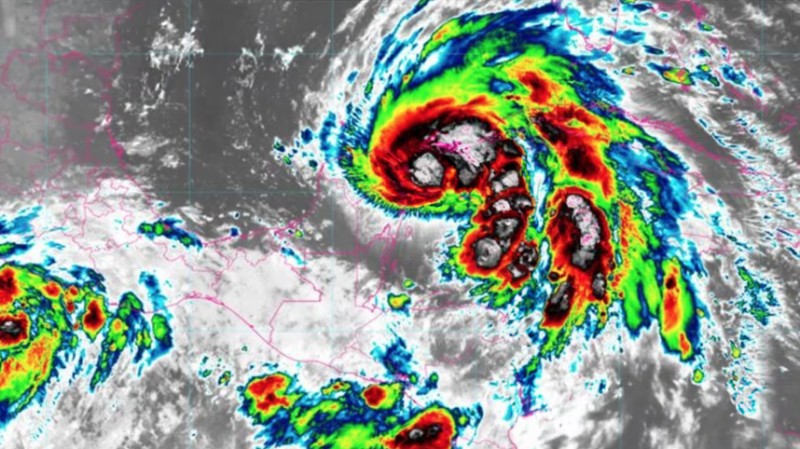
Conagua descartó un impacto del centro del huracán en la costa de Yucatán
Nacional | 2024-10-07
Secuestran a veracruzano 10 meses en el Mar Rojo
Nacional | 2024-10-07
Se espera que en las próximas continúe con la misma fuerza cerca de las costas de Yucatán
Nacional | 2024-10-05
‘Hasta siempre, querida maestra’, dice Sheinbaum
Nacional | 2024-10-05
El general Ricardo Trevilla Trejo, titular de la Sedena nombró al general de Brigada Hernán Cortés Hernández como nuevo comandante de la Guardia Nacional.
Nacional | 2024-10-05
El Ejército logró aprehender a cinco hombres, quienes serían presuntamente parte del equipo interno de seguridad de Figueroa.
Nacional | 2024-10-04
Aunque desde hace años padecen la falta de agua por algunos días o semanas, dependiendo la localidad, el impacto de John en el puerto agravó la problemática
Nacional | 2024-10-01
Buscará el doble de kilómetros qué hizo AMLO
Página 15 de 45
-
ir a página << 13 14 15 16 17 >>